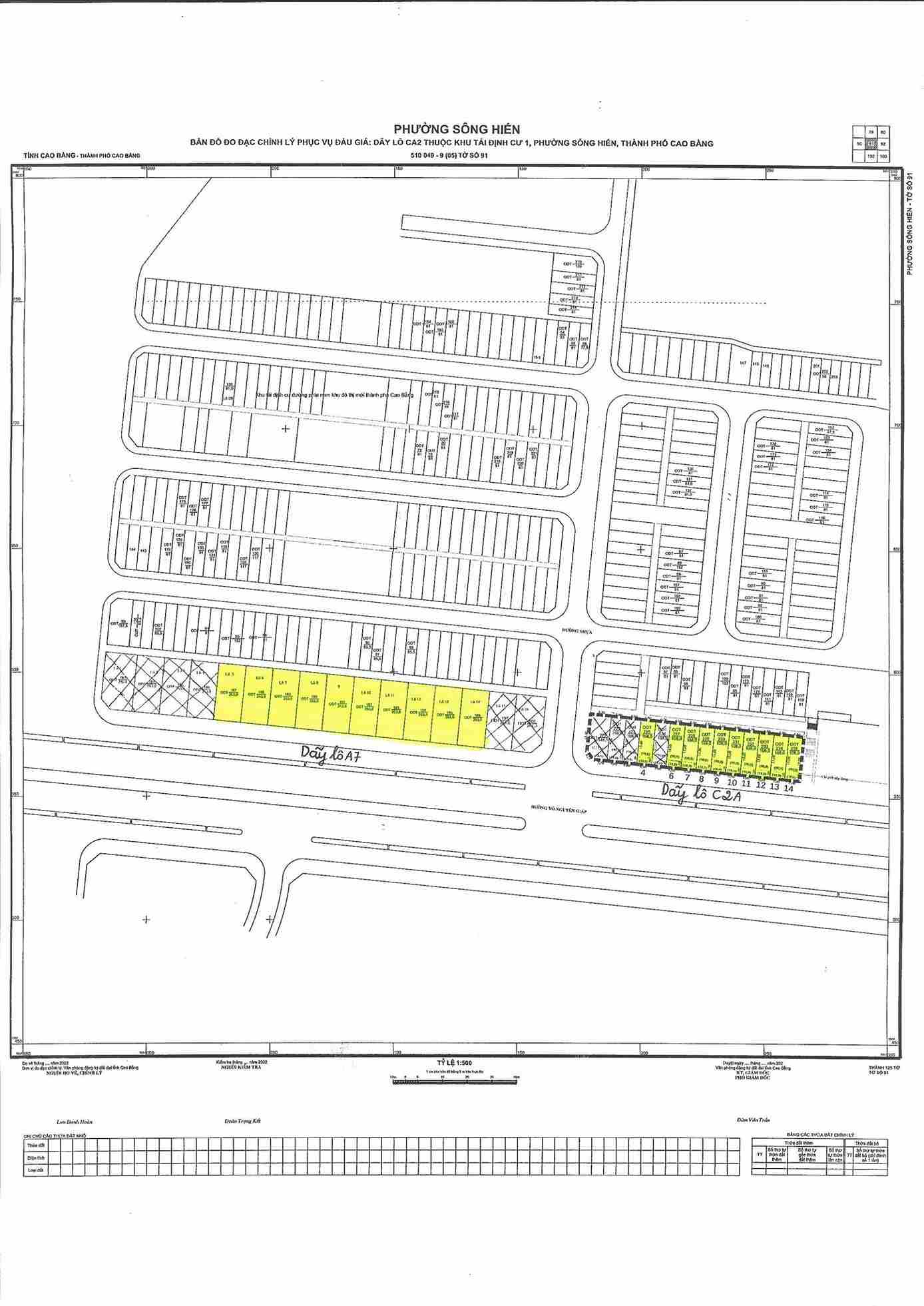
記者の調査によると、11月26日、資産競売サービスセンター(カオバン省司法局)は、カオバン省トゥクパン区ソンヒエン9居住区再定住エリア1の住宅地10区画の使用権の競売の開催を発表したばかりである。
組織機関からの情報によると、A7区画に属する土地区画は、各区画に253m2の面積があり、使用目的は都市部の住宅地であり、長期使用期間があります。土地区画は、競売を通じて土地使用料を徴収する形式で国家から割り当てられています。
提示された開始価格は 22,714 百万 VND/m² です。各ロットの合計開始価格は 57 億 VND 以上です。オークションに参加するための文書の購入価格は 1 ファイルあたり 300,000 ドンです。デポジットは、開始価格(11億VND)での土地の価格の20%に相当します。
競売ラウンドで適用される価格ステップは500万VND/m2です。競売は、各ロットの競売、複数ラウンドの直接投票の形式で、最低4ラウンドの必須ラウンドで実施されます。

参加登録対象者は、民事行為能力のある個人であり、土地法の規定に従って土地使用料を徴収する土地を国家から割り当てられたグループに属する。参加者は、複数の土地区画に複数の書類を登録できる。
オークションに参加するための購入および書類の提出期間は、11月26日から12月9日午後5時までです。前払い金の支払い時間は上記の時間と一致し、振込で支払うことができます。必要とする人は、12月1日から12月3日午後5時までに、センターの指示に従って、または自主的にまたはセンターの指示に従って土地を実際に確認できます。
オークションは、2025年12月12日午前8時00分に、Cao Bang省人民委員会事務所の3階、ゲストハウス(Hoang Nhu通り、Thuc Phan区)で開催される予定です。